Na sprzedaż 280.000zł - Działka
Działka budowlana – Kuklówka Radziejowicka | MPZP
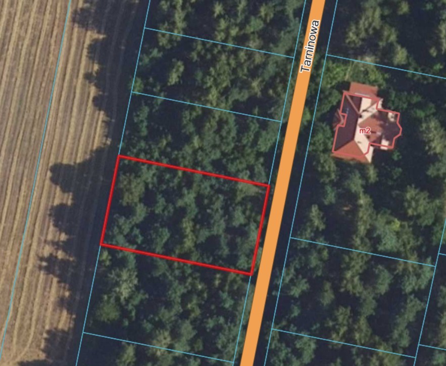
Na sprzedaż działka budowlana o powierzchni 1432 m², położona w miejscowości Kuklówka Radziejowicka, gmina Radziejowice, powiat żyrardowski, woj. mazowieckie.
Przeznaczenie terenu:
Zgodnie z miejscowym planem zagospodarowania przestrzennego:
• symbol: 3MN
• przeznaczenie: zabudowa mieszkaniowa jednorodzinna (wolnostojąca)
Idealna propozycja pod budowę domu w spokojnej, zielonej okolicy z szybkim dojazdem do Warszawy.
Lokalizacja i okolica:
Kuklówka Radziejowicka to kameralna, malownicza miejscowość położona nad rzeką Pisią Tuczną, znana z ciszy, zieleni i luźnej zabudowy jednorodzinnej.
Atuty nieruchomości:
✔ regularny kształt działki
✔ spokojna, zielona okolica
✔ obowiązujący MPZP
✔ zabudowa jednorodzinna – gwarancja kameralnego charakteru
✔ dogodny dojazd do Warszawy
Komunikacja i dojazd:
Samochodem:
• Warszawa – ok. 40-45 km (ok. 35-45 min)
• Grodzisk Mazowiecki – ok. 8 km
• Żyrardów – ok. 10-12 km
• szybki dojazd do trasy S8 i A2
Transport publiczny:
• autobusowa komunikacja lokalna (połączenia do Grodziska i okolic)
• stacje kolejowe:
– Grodzisk Mazowiecki i Jaktorów (ok. 7-9 km) – szybkie połączenia kolejowe do Warszawy
Dzięki temu nieruchomość świetnie sprawdzi się zarówno jako miejsce do życia na stałe, jak i inwestycja.
W najbliższej okolicy znajdują się:
• tereny rekreacyjne, lasy i trasy rowerowe
• lokalne zabudowania jednorodzinne oraz siedliska
• Muzeum Lwowa i Kresów w stylowym dworku
• liczne atrakcje w promieniu kilku kilometrów:
– Park of Poland – Suntago (ok. 10-12 km)
– Aquaparki w Mszczonowie i Żyrardowie
– oferta kulturalna i usługowa w Grodzisku Mazowieckim
To miejsce idealne dla osób szukających równowagi między naturą a wygodnym dostępem do miasta.




