Na sprzedaż 2.000.000zł - Działka
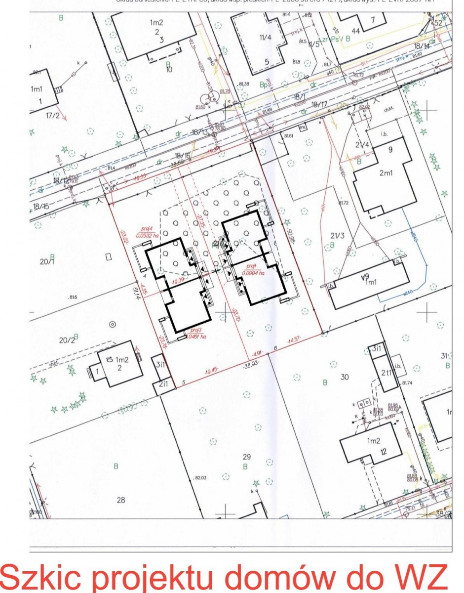
Do sprzedaży działka o powierzchni 2173m2 przy ul. Dwusiecznej, na warszawskiej Choszczówce. Szerokość działki 40m od ulicy, głębokość 51,5m.
Na inwestycje, pod budowę dwóch budynków jednorodzinnych w zabudowie bliźniaczej i jednego budynku jednorodzinnego wolnostojącego dwulokalowego.
Powierzchnia zabudowy to 695m2.
Oczywiście jest to świetna propozycja na zabudowę na dom jednorodzinny również.
Wydana została aktualna Decyzja o warunkach zabudowy, natomiast na tym terenie nie ma obowiązującego MPZP.
Plan zagospodarowania działki w/g Decyzji o warunkach zabudowy:
• Wskaźnik maksymalnej zabudowy 0,23
• Wskaźnik minimalnej powierzchni biologicznie czynnej 60%
• Szerokość elewacji nowej zabudowy 15m z tolerancją do 20%
• Maksymalna wysokość górnej krawędzi elewacji frontowej 12m
• Kąt nachylenia pałaci dachowych od 25 st do 45 st.
Media:
• Woda ujęcie własne, docelowo wodociąg miejski
• Odprowadzanie ścieków- szambo szczelne docelowo kanalizacja miejska
• Energia elektroenergetyczna- sieć miejska.
Działka zlokalizowana przy ulicy nieruchliwej utwardzonej ulicy, w bliskiej odległości od przystanku autobusowego, a co najważniejsze Stacji PKP Choszczówka. Stąd szybko można dojechać pociągami podmiejskimi do Centrum oraz Stacji Metra Dworzec Gdański.
Osiedle Choszczówka na Warszawskiej Białołęce cieszy się ogromnym uznaniem wśród mieszkańców, jako dobre miejsce do zamieszkania. Osiedle ma zorganizowana infrastrukturę – szkoły, przedszkola, sklepy, punkty usługowe. Otoczenie domów jednorodzinnych luźno rozłożonych.
Ale najważniejsze to Lasy Choszczówki ze ścieżkami spacerowymi i rowerowymi oraz placami zabaw, a zimą natomiast szlaki do nart biegowych.















