Na sprzedaż 5.010.000zł - Działka
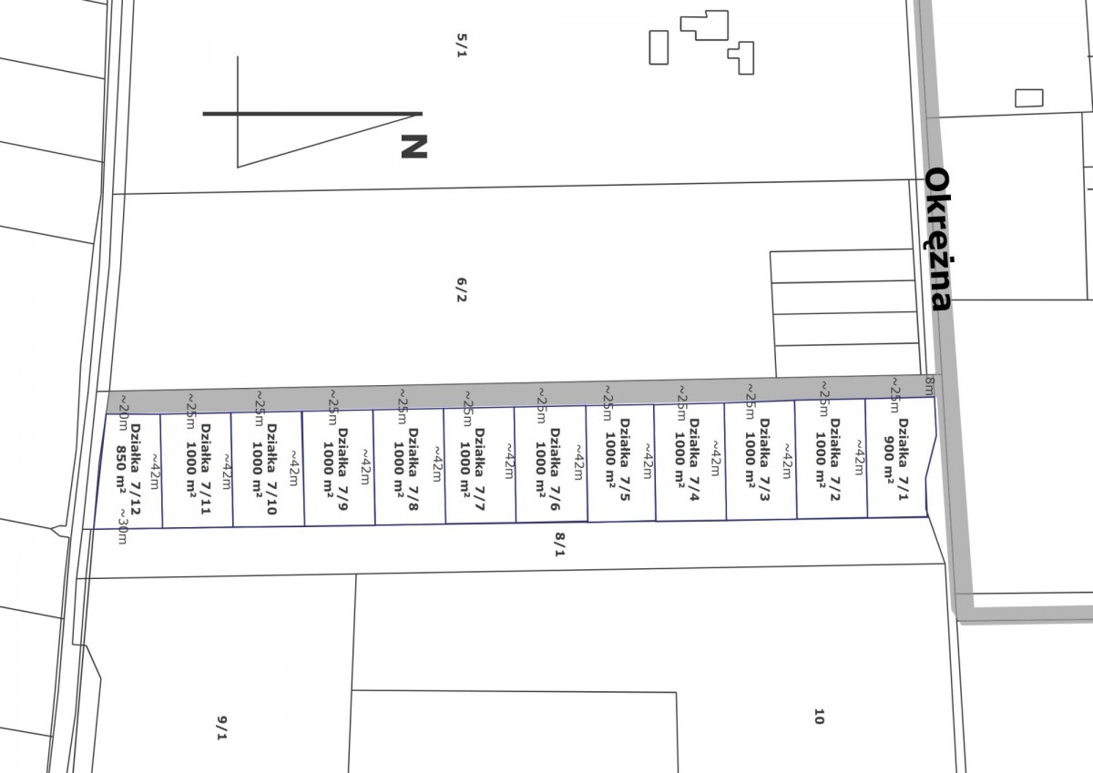
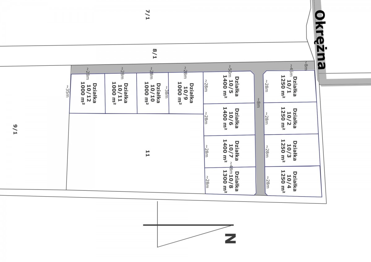
Mam przyjemność przedstawić państwu na sprzedaż działkę budowlaną o powierzchni 16 700 mkw. pod budowę osiedla.
- Działka o wymiarach 118.16 x 103.24 x 70,98 x 114.37 x 43,44 x 213.45 metrów.
W studium oznaczona M-mieszkaniowa. Na chwilę obecną możliwość zabudowy zagrodowej. Idealna na inwestycje czy wymarzony kawałek ziemi na uboczu bez sąsiadów a w centrum wszystkiego. Nieruchomość położona w Umiastowie przy ul. Okrężnej. Działka jest usytuowana bezpośrednio przy drodze gminnej (asfaltowej) ze wszystkimi mediami.
Lokalizacja:
W najbliższych miesiącach ma powstać stacja metra Połczyńska, do której dojazd zajmie tylko 15 min. W zaledwie kilka minut można dotrzeć do Kampinoskiego Parku Narodowego. Ponadto, w najbliższej okolicy znajdują się:
– stacja PKP Ożarów Mazowiecki,
– przystanek autobusowy,
– szkoła, przedszkole,
– sklepy,
– kościół,
– basen,
– przychodnia,
– plac zabaw.
W okolicy niska, kameralna zabudowa oraz nowo powstające nowoczesne domy. Do szkoły czy przedszkola jest 5 min spacerkiem. Okolica bardzo intensywnie rozwijająca się.
Forma własności: pełna własność z księgą wieczystą.
Zapraszam na prezentacje.












