Na sprzedaż 170.000zł - Działka
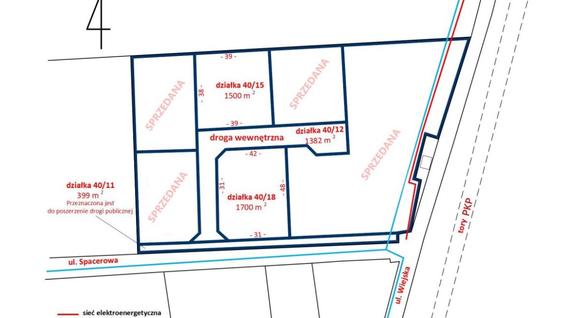
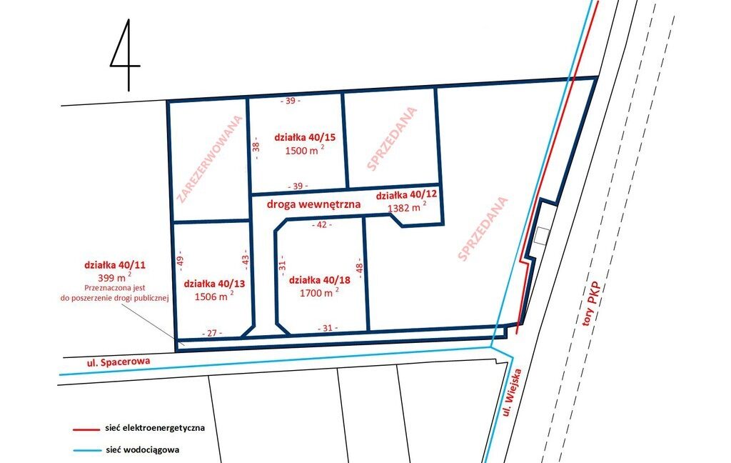
Działka budowlano-usługowa – Marków-Świnice, gm. MszczonówW sąsiedztwie Suntago, największego parku wodnego w Polsce, znajduje się działka budowlano-usługowa nr ewid. 40/18, o powierzchni 1700 m² i wymiarach 35 x 48 . Położenie w pierwszej linii zabudowy, przy ulicy Spacerowej – droga ta jest utwardzoną drogą gminną, co zapewnia wygodny dojazd do działki. Bliskość Suntago i terenów rekreacyjnych sprawia, że to miejsce doskonale nadaje się zarówno pod zabudowę mieszkaniową, jak i usługi turystyczne czy rekreacyjne.MPZP (symbol 5U/MN)Teren objęty jest miejscowym planem zagospodarowania przestrzennego, który przewiduje zabudowę mieszkaniową jednorodzinną oraz usługi – jako przeznaczenie podstawowe. Dopuszczalne funkcje: handel, gastronomia, hotel, pensjonat, biura, zdrowie, rekreacja, drobna wytwórczość, parkingi.WSKAŹNIKI ZABUDOWY- maksymalna powierzchnia zabudowy: 50%- minimalna powierzchnia biologicznie czynna: 30%- maksymalna wysokość budynków: 20 mMEDIAWodociąg miejski oraz sieć elektroenergetyczna w ulicy.DOJAZD I LOKALIZACJA5 km do centrum Mszczonowa7 minut drogi rowerem do SuntagoW otoczeniu zielonych terenów, lasów oraz rozwijających się obszarów rekreacyjnychOferujemy do sprzedaży również sąsiednie działki z tego kompleksu.Lokalizacja zaznaczona bardzo dokładnie. Zapraszam do kontaktu.












