Na sprzedaż 365.534zł - Działka
Działka budowlano-usługowa 827 m² – Nadarzyn, pow. pruszkowski
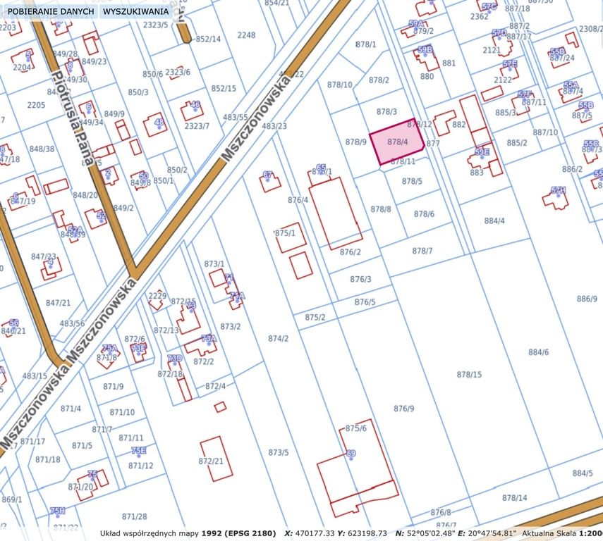
ELANDOM Nieruchomości prezentuje do sprzedaży działkę nr 878/4 o powierzchni 827 m², położoną w Nadarzynie (gm. Nadarzyn, pow. pruszkowski), pomiędzy ul. Mszczonowską a Al. Katowicką.
Parametry działki:
- powierzchnia: 827 m²
- szerokość: 23,5 m
- długość: 35 m
- pełna własność, stan prawny uregulowany
Działka oferowana jest w pakiecie z sąsiednimi parcelami (878/5, 878/6, 878/7), które stanowią odrębne oferty sprzedaży.
Przeznaczenie wg MPZP (uchwała nr XXVIII/585/2004):
- zabudowa mieszkaniowa jednorodzinna – domy wolnostojące lub w zabudowie bliźniaczej
- usługi towarzyszące i komercyjne (z wyłączeniem obiektów o pow. sprzedaży > 500 m², stacji paliw, warsztatów samochodowych czy masztów telefonii komórkowej)
- przeznaczenie uzupełniające: budynki gospodarcze i garaże (do 60 m²), infrastruktura techniczna, zieleń, miejsca postojowe
Media:
- woda, prąd, gaz – w drodze
Działka idealna pod budowę domu jednorodzinnego z funkcją usługową.
Doskonała lokalizacja przy głównych trasach – szybki dojazd do Warszawy i okolic.
Sprzedaż wyłącznie za gotówkę.
