Na sprzedaż 150.000zł - Działka
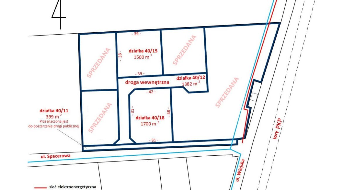
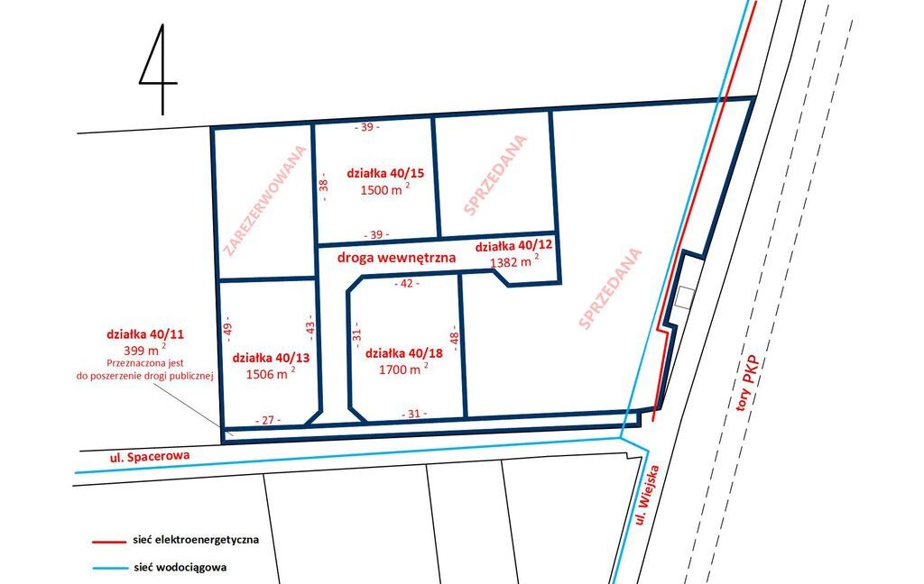
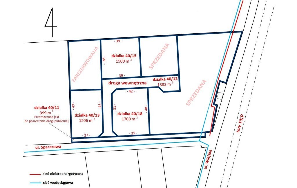
Działka budowlano-usługowa – Marków-Świnice, gm. MszczonówW sąsiedztwie Suntago, największego parku wodnego w Polsce, znajduje się działka budowlano-usługowa nr ewid. 40/15, o powierzchni 1500 m² i wymiarach 39 x 39 .
Położenie w drugiej linii zabudowy od ulicy Spacerowej – droga ta jest utwardzoną drogą gminną, co zapewnia wygodny dojazd do działki. Bliskość Suntago i terenów rekreacyjnych sprawia, że to miejsce doskonale nadaje się zarówno pod zabudowę mieszkaniową, jak i usługi turystyczne czy rekreacyjne.
MPZP
Teren objęty jest miejscowym planem zagospodarowania przestrzennego (symbol 5U/MN), który przewiduje zabudowę mieszkaniową jednorodzinną oraz usługi – jako przeznaczenie podstawowe. Dopuszczalne funkcje: handel, gastronomia, hotel, pensjonat, biura, zdrowie, rekreacja, drobna wytwórczość, parkingi.
WSKAŹNIKI ZABUDOWY
– maksymalna powierzchnia zabudowy: 50%
– minimalna powierzchnia biologicznie czynna: 30%
– maksymalna wysokość budynków: 20 m
MEDIA
Wodociąg miejski oraz sieć elektroenergetyczna w ulicy.
DOJAZD I LOKALIZACJA
5 km do centrum Mszczonowa 7 minut drogi rowerem do Suntago. W otoczeniu terenów zielonych, lasów oraz rozwijających się obszarów rekreacyjnych.
Oferujemy do sprzedaży również sąsiednie działki z tego kompleksu. Lokalizacja zaznaczona bardzo dokładnie.
Zapraszam do kontaktu i na prezentację w terenie.












